About N/A
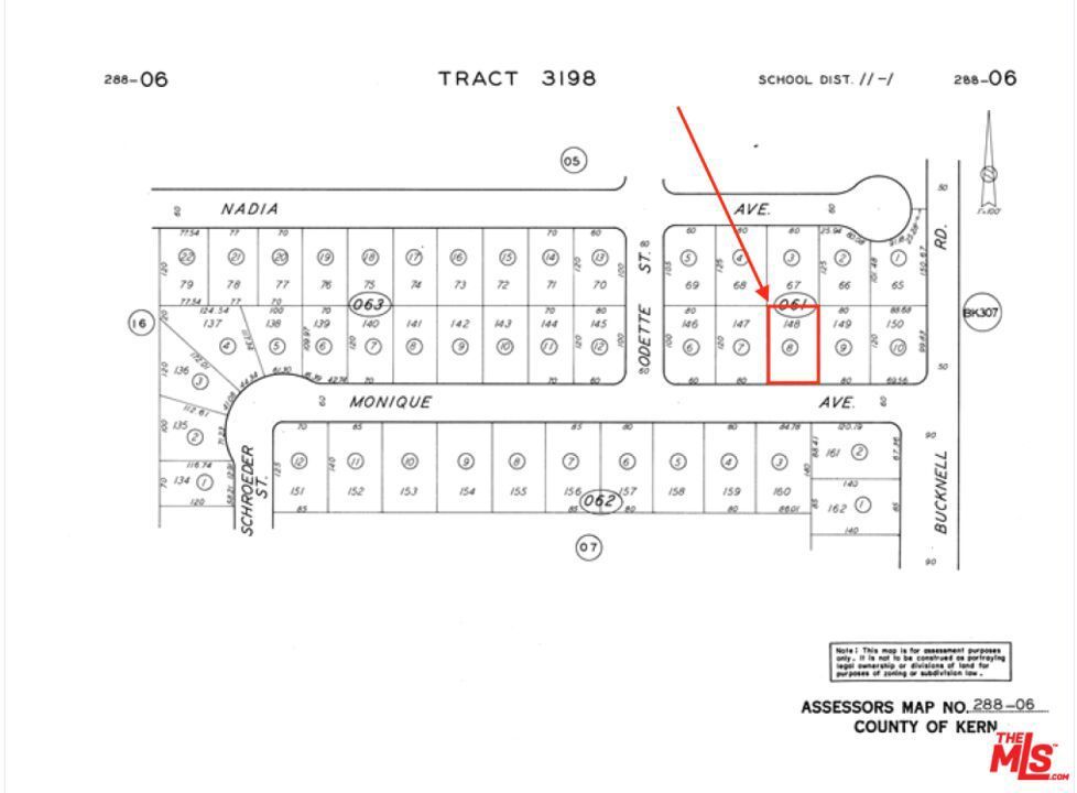
Vacant residential land on R1 zoning. GPS coordinates: 35.194984, -117.739076. Buyer advised to check with City for utilities. No address assigned to parcel. APN: 288-061-08-00-7.
Features of N/A
| MLS® # | 24449751 |
|---|---|
| Price | $5,000 |
| Bathrooms | 0.00 |
| Acres | 0.22 |
| Type | Land |
| Status | Active |
Community Information
| Address | N/A |
|---|---|
| Area | CAC - California City |
| City | California City |
| County | Kern |
| State | CA |
| Zip Code | 93561 |
Listing Map
Amenities
| View | None |
|---|---|
| Is Waterfront | No |
| Has Pool | No |
Interior
| Has Basement | No |
|---|---|
| Fireplace | No |
Additional Information
| Date Listed | October 7th, 2024 |
|---|---|
| Days on Market | 346 |
| Zoning | R1 |
| Foreclosure | No |
| Short Sale | No |
| RE / Bank Owned | No |
Listing Details
| Agent | Julia Jae |
|---|---|
| Office | Dream Realty & Investments Inc |
