About Near County 20905 Road
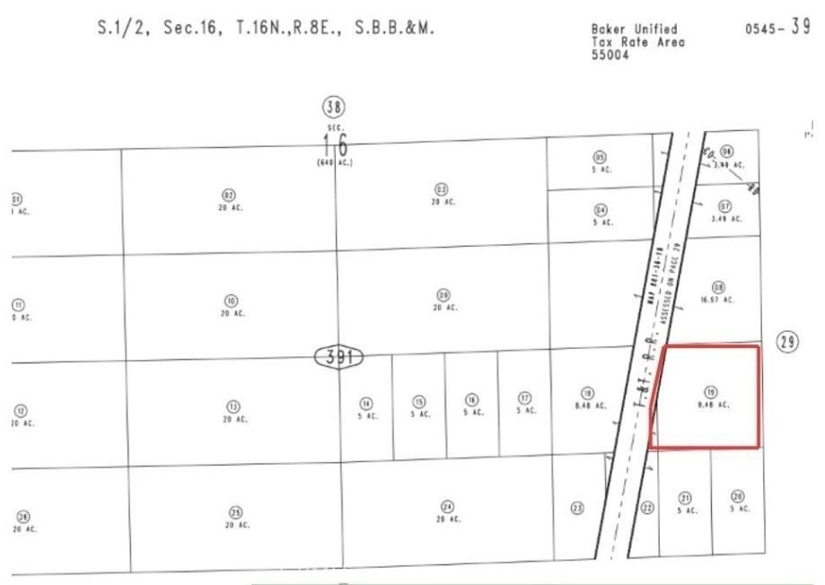
Off-grid desert living! This 8.48-acre high-desert tract is as raw as it gets: no power, no well, no septic. Bring solar, bring water, bring grit. Build the off-grid basecamp you’ve been dreaming about - Big skies, stargazer-grade darkness, and no nosy neighbors. Use as a private staging area for OHV fun at Dumont Dunes, hiking the Kelso Dunes, or just exploring your own land. Low-maintenance desert ground surrounded by public lands- an easy land-bank play with upside. Roads are rough. Come prepared. Call the County to confirm what you can build and how; verify legal access. Lot sold AS-IS. We believe all information provided is accurate, however the Buyer must conduct their own due diligence and verify all information. Lot lines are estimated and not exact measurements. Priced for a quick sale. Seller looking to assign contract. GPS Coordinates: 35.471887, -116.123797.
Features of Near County 20905 Road
| MLS® # | HD25245776 |
|---|---|
| Price | $8,750 |
| Bathrooms | 0.00 |
| Acres | 8.48 |
| Type | Land |
| Status | Active |
Community Information
| Address | Near County 20905 Road |
|---|---|
| Area | 699 - Not Defined |
| City | Nipton |
| County | San Bernardino |
| State | CA |
| Zip Code | 92364 |
Listing Map
Amenities
| Utilities | None, Sewer Not Available, Water Not Available |
|---|---|
| View | Desert |
| Is Waterfront | No |
| Has Pool | No |
Interior
| Has Basement | No |
|---|---|
| Fireplace | No |
Exterior
| Lot Description | SixToTenUnitsAcre, Irregular Lot |
|---|
Additional Information
| Date Listed | October 23rd, 2025 |
|---|---|
| Days on Market | 1 |
| Zoning | RC |
| Foreclosure | No |
| Short Sale | No |
| RE / Bank Owned | No |
Listing Details
| Agent | Karen Balderrama |
|---|---|
| Office | Coldwell Banker Home Source |
