104 Lot Reservoir Road, Cedarpines Park, CA

$3,500

Previous Next

0.08

Acres

About 104 Lot Reservoir Road

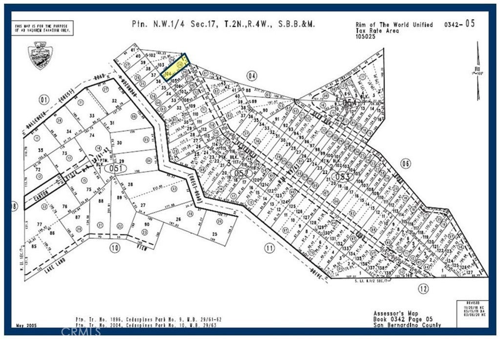
Lot 104 Tract 2004 (APN: 0342-052-29) GPS: 34.260891, -117.327711 This mountain lot is in the rural mountain community of Cedarpines Park, CA. The lots sits an at approximate elevation of 4900 feet an is 1.24 miles north of the downtown community. According to the San Bernardino County, the property is zoned CF/RS-14M. This zoning is Single Residential with 14,000 sq ft minimum lot sizes. Buyer should verify all utilities and access. Use GPS to locate the property, GPS: 34.260891, -117.327711

Features of 104 Lot Reservoir Road

MLS® # HD25165701
Price $3,500
Bathrooms 0.00
Acres 0.08
Type Land
Status Active

Community Information

Address 104 Lot Reservoir Road
Area 699 - Not Defined
City Cedarpines Park
County San Bernardino
State CA
Zip Code 92322

Listing Map

Amenities

Utilities None, Sewer Not Available, Water Not Available
View Mountain(s)
Is Waterfront No
Has Pool No

Interior

Has Basement No
Fireplace No

Exterior

Lot Description Rectangular Lot

Additional Information

Date Listed July 22nd, 2025
Days on Market 58
Zoning CF/RS-14M
Foreclosure No
Short Sale No
RE / Bank Owned No

Listing Details

AgentKristen Maley
OfficeLandcore Realty

Request a Showing

Provide a valid email address.
When would you like to view this property?